IT之家 2 月 13 日消息,特斯拉计划建造全球最大超级充电站,可能为我们揭示电动汽车充电的未来。
众所周知,特斯拉拥有目前最好的电动车充电网络 —— 超级充电网络,但其仍有提升空间。随着北美电动车保有量激增,充电网络不仅需要升级,更需针对不同车辆需求进行全面革新。消费者需要更多充电站,每个站要有更多充电桩,同时需要适应不同类型的电动车,例如卡车,以提供灵活便利的充电配置。
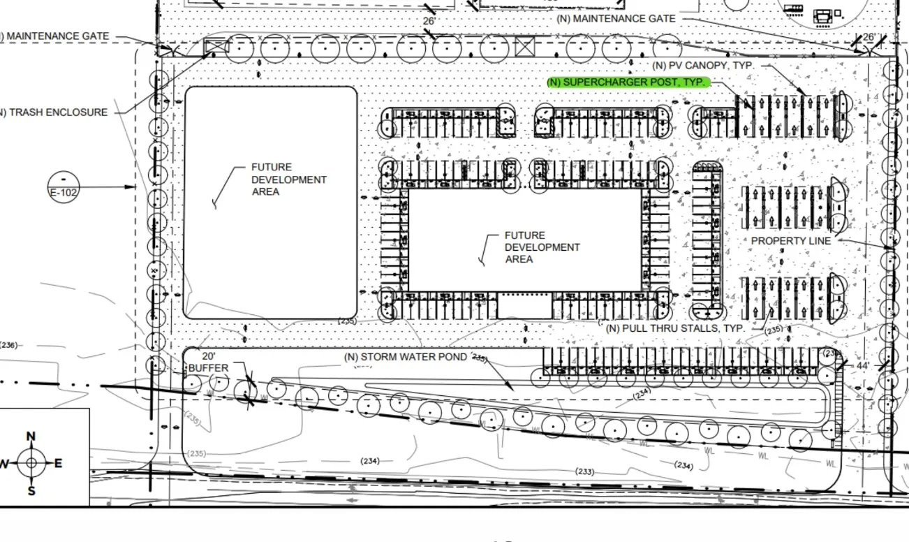
最近,特斯拉披露了在加州建造新超级充电站的计划,或许能让我们一窥特斯拉对超级充电网络未来发展方向的构想。新充电站选址于加州克恩郡,靠近 5 号高速公路和 46 号高速公路的交汇处。
根据施工许可申请,新充电站将拥有超过 160 个充电桩,使其成为全球最大的超级充电站。不过,更值得关注的是其创新设计:其中将包括 16 个直通式充电桩,非常适合拖拽拖车的车辆。这项设计让 Cybertruck 等电动皮卡车无需卸下拖车即可充电,大大提升了便利性。
IT之家注意到,计划还显示,特斯拉将在充电站建造由电池和太阳能棚组成的微型电网。这将帮助特斯拉削减高峰时段的用电需求,从而大幅降低充电成本。
目前尚不清楚新充电站何时完工,但它将服务于加州北部和南部之间繁忙的交通线路。特斯拉已在这条线路进行了大量投资。事实上,新充电站将距离现有的 Kettleman City 超级充电站不远,后者曾是全球最大的超级充电站。
原文链接:https://tech.ifeng.com/c/8X8RsJgbQmK

